Küba Devlet Başkanı Miguel Diaz-Canel, kasırganın ülkenin doğu kıyısına ulaşmasından önce 735 binden fazla kişinin güvenli bölgelere tahliye edildiğini açıkladı. Diaz-Canel, “Küba için çok zor bir gece olacak ama toparlanacağız” dedi.
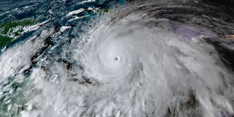
Meteoroloji yetkililerine göre, ülkenin dağlık bölgelerinde yağış miktarı 60 santimetreye kadar ulaşabilir, bu da şiddetli sel ve heyelan riskini artırıyor. Kasırga merkezine yakın bölgelerde rüzgar hızının saatte 190 kilometreye kadar çıktığı bildirildi.
JAMAİKA FELAKET BÖLGESİ İLAN EDİLDİ
Melissa, Küba’ya ulaşmadan önce Jamaika’yı vurmuş, ülke genelinde yüzbinlerce kişiyi elektriksiz bırakmıştı. Başbakan Andrew Holness, salı günü yaptığı açıklamada ülkeyi ‘felaket bölgesi’ ilan etti.
Holness, “Hastaneler, evler ve iş yerleri büyük hasar gördü. Kurtarma ve onarım çalışmalarına hemen başlayacağız” dedi.
Yaklaşık 500 bin kişi elektriksiz kalırken, ülke genelinde 15 bine yakın kişi acilen sığınaklara gitti. İnternet bağlantısı da ülke genelinde normalin yalnızca yüzde 30’una kadar düştü.
Yaklaşık 25 bin turistin hala Jamaika’da olduğu bildirildi. ABD Başkanı Donald Trump, Asya turu sırasında yaptığı açıklamada, Washington’un yardım için hazır olduğunu belirterek, “Durumu yakından izliyoruz ve harekete geçmeye hazırız, ancak hasar gerçekten büyük” dedi.
Kasırga Melissa, bu yılın şimdiye kadarki en güçlü Atlantik fırtınası olarak kayıtlara geçti. ABD Ulusal Kasırga Merkezi’ne göre sistemin önümüzdeki günlerde Bahamalar üzerinden geçerek kuzeydoğuya, açık denizlere doğru ilerlemesi bekleniyor.
SPUTNIK